Skip to content

Content

Traralgon, Villas 1 Resident - Vacancy

Traralgon VIC 3844

1 bed

1 bath

1 parking
space

These brand new 1 bedroom Villas in Morwell Traralgon are currently under construction, and are designed to support people with High Physical Support or Fully Accessible SDA approval.

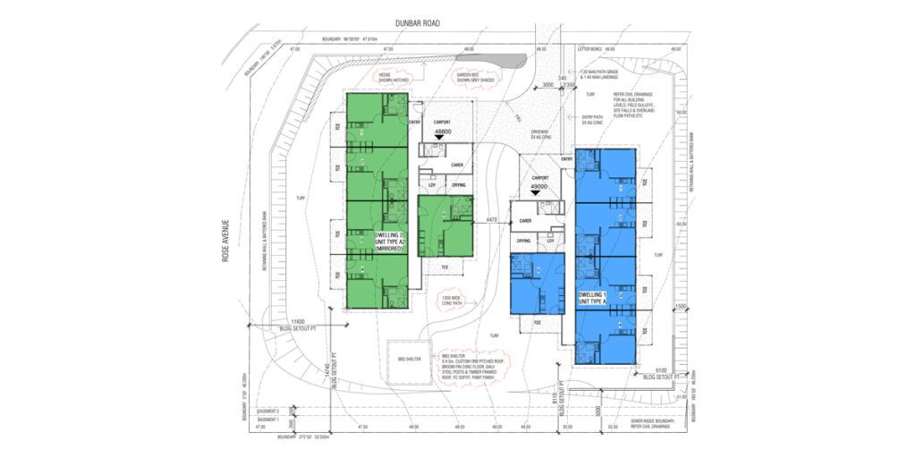
The development features two properties, comprising of five (5) high physical support one-bedroom Villas, with the second property comprising four (4) fully accessible one-bedroom Villas. Both properties include shared laundry plus OOA to ensure 24/7 care.

Each Villa is self-contained including its own bedroom, kitchen and living space, bathroom and courtyard.

Applications now open.

*To be eligible for this Accommodation, you will need to be a NDIS participant and your plan needs to include approved Supported Independent Living Funding. If you are unsure if you qualify, have a chat with your NDIS coordinator or contact intake@claro.com.au

Interested in this property?
Here are your options

Ready to apply? Share your details with the provider

Need more detail? Ask the property provider a question

Register to favourite

Property Features

The building
Single storey
Access
Wide doorframes Wide pathways
Environment
Air conditioning Heating
Outside
Undercover access from parking to property
Shared Living
Storage for personal equipment Window Built-in robe Direct access to yard / courtyard / garden Private/ensuite bathroom Private living space Private kitchen Shared laundry
Registered SDA: No
Stay Duration Permanent

Provider Details

SDA Provider: ACARES SIL Provider: Claro Aged Care Disability Services

What's nearby

Transport 423m to the nearest Train Station Traralgon Railway Station
1Km to the nearest Bus Stop at Bank Street, Traralgon
Shopping 793m to the nearest Shopping Centre, Traralgon Centre Plaza
Other 6km to the nearest hospital at Latrobe Regional Hospital
514m to the nearest park at Shakespeare Reserve
323m to the nearest Medical Centre, Latrobe Medical Centre

Area Map

Interested in this property?
Here are your options

Ready to apply? Share your details with the provider

Need more detail? Ask the property provider a question

Register to favourite